New Search Family, Subfamily and Tribe List

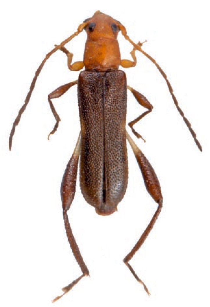
SubFamily Cerambycinae

Tribe Stenopterini
Microdebilissa smidi Tichư 2019

Specimen Type: holotype
Sex: m
Institution: BPBM Bernice P. Bishop Museum, Honolulu, Hawaii, USA
Photographer: Tomas Tichy
Collection Location: Dong Tien, Binh Thuan Province, Vietnam
80325

130425