New Search Family, Subfamily and Tribe List

SubFamily Apatophyseinae

Tribe
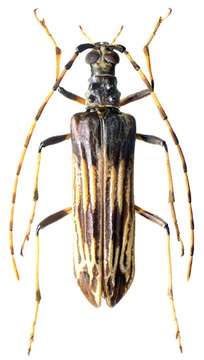
Zulphis subfasciata Fairmaire 1893

59868


Sex: f
Photographer: Ivo Jenis
Collection Location: Fianarantsoa (Ranomafana), Madagascar
89395

130425