New Search Family, Subfamily and Tribe List

SubFamily

Tribe Disteniini
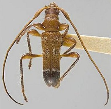
Nericonia glabricollis Heller 1915

Photographer: Nathan P. Lord
54393

130425