_Gressitt_Papua_New_Guinea_USNM.jpg)
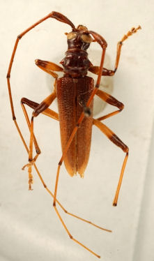
Distenia bougainvillea Gressitt Specimen Type: holotype Sex: f Institution: NMNH United States National Museum, Washington, DC, USA Photographer: Steve Lingafelter Collection Location: Papua New Guinea 37806
|
_Gressitt_Papua_New_Guinea_USNM.jpg)
Distenia bougainvillea Gressitt Specimen Type: holotype Sex: f Institution: NMNH United States National Museum, Washington, DC, USA Photographer: Steve Lingafelter Collection Location: Papua New Guinea 37807
|