 Linga FSCA 12 km W San Pedro de Macoris, Dominican Republic Konstantinov pic.jpg)
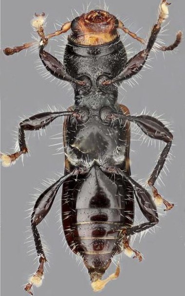
Specimen Type: holotype Sex: f Institution: FSCA Florida State Collection of Arthropods, Gainesville, FL, USA Photographer: Alexander Konstantinov Collection Location: 12 km W San Pedro de Macoris, Dominican Republic 95842
|
 Linga FSCA 12 km W San Pedro de Macoris, Dominican Republic Konstantinov pic.jpg)
Specimen Type: holotype Sex: f Institution: FSCA Florida State Collection of Arthropods, Gainesville, FL, USA Photographer: Alexander Konstantinov Collection Location: 12 km W San Pedro de Macoris, Dominican Republic 95843
|
 Linga FSCA 12 km W San Pedro de Macoris, Dominican Republic Konstantinov pic.jpg)
Specimen Type: holotype Sex: f Institution: FSCA Florida State Collection of Arthropods, Gainesville, FL, USA Photographer: Alexander Konstantinov Collection Location: 12 km W San Pedro de Macoris, Dominican Republic 95844
|

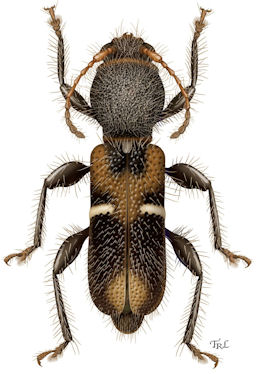
Photographer: Taina Litwak painting Collection Location: Dominican Republic 30617
|
|