New Search Family, Subfamily and Tribe List

SubFamily

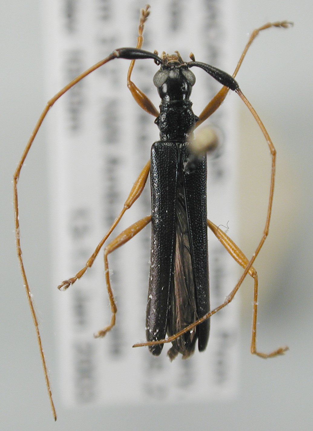
Tribe Disteniini
Nethinius nigripennis Villiers 1980

Institution: LGBC Larry G. Bezark Collection, Sacramento, California, USA
Photographer: Larry G. Bezark
Collection Location: Ambohijanahary Reserve, Toliara, Madagascar
97033

130425