New Search Family, Subfamily and Tribe List

SubFamily Lamiinae

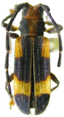
Tribe Mauesiini
Mauesia submetallica Martins & Galileo 2010

Specimen Type: holotype
Sex: f
Institution: INPA Instituto Nacional de Pesquisas da Amazonia, Manaus, Brazil
Collection Location: Japura, Amazonas, Brazil
29859

130425