_Martins_and_Galileo_INPA_Manaus_AM_Brazil.jpg)
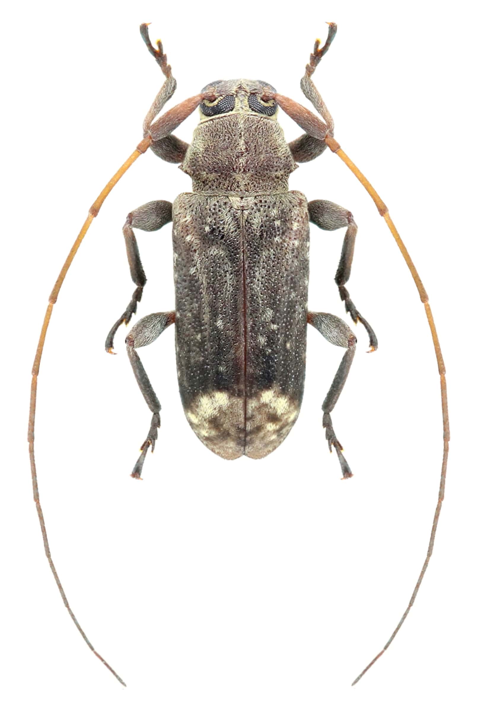
Specimen Type: holotype Sex: m Institution: INPA Instituto Nacional de Pesquisas da Amazonia, Manaus, Brazil Collection Location: Manaus, Amazonas, Brazil 29860
|

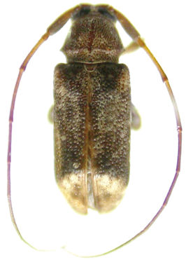
Photographer: Frédéric Robin Collection Location: Montagne des Chevaux, French Guiana 79322
|

Institution: MNHN Museum of Natural History Paris, France Photographer: Gerard Tavakilian Collection Location: pk 43, Piste de Kaw, French Guiana 70661
|
|