_SS_M_Clarke_MPEG_Serra_Norte_Para_Braz_SS.jpg)
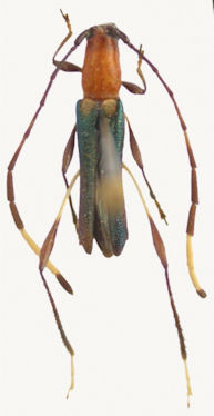
Specimen Type: holotype Sex: f Institution: MPEG Museu Paraense Emilio Goeldi, Belem, Para, Brazil Photographer: Antonio Santos-Silva Collection Location: Serra Norte, Para, Brazil 53519
|
_SS_and_Martins_and_Clarke_MPEG_Serra_Norte_Para_Brazil.jpg)
Specimen Type: holotype Sex: f Institution: MPEG Museu Paraense Emilio Goeldi, Belem, Para, Brazil Collection Location: Serra Norte, Para, Brazil 30220
|