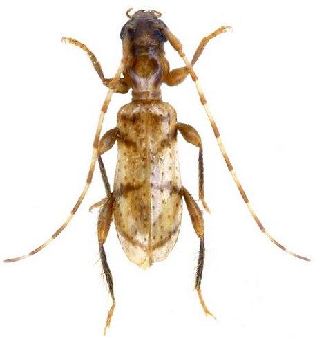
_Joly_Venezuela.jpg)
Specimen Type: paratype Collection Location: Venezuela 29862
|

Photographer: Frédéric Robin Collection Location: Roche Dachine, Saül, French Guiana 80890
|

Photographer: Jim Wappes Collection Location: Bolivia 42358
|

Photographer: Jean-Louis Giuglaris Collection Location: Kaw, French Guiana 68092
|

Institution: MZUS Museo Zoológico de la Universidad de Sucre, Sucre, Colombia Photographer: Juan Pablo Botero Collection Location: Los Palmitos, Finca el Oriente, Sucre, Colombia 72889
|
|