New Search Family, Subfamily and Tribe List

SubFamily Cerambycinae

Tribe Hesperophanini
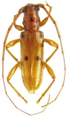
Paraliostola nigramacula Martins & Galileo 2010

Specimen Type: holotype
Sex: m
Institution: MNRJ Museu Nacional Universidade do Rio Janeiro, Brazil
Collection Location: Vilhena, Rondonia, Brazil
30171

130425