New Search Family, Subfamily and Tribe List

SubFamily Cerambycinae

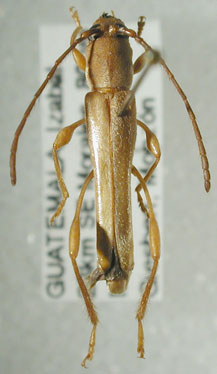
Tribe Rhinotragini
Stenopseustes sericinus Bates 1880

Institution: BCA Biologia Centrali Americana
13479


Institution: EMG Ed Giesbert Collection (now at FSCA)
Collection Location: Izabal, Guatemala
13480


Photographer: John Chemsak
18567

130425