New Search Family, Subfamily and Tribe List

SubFamily Apatophyseinae

Tribe
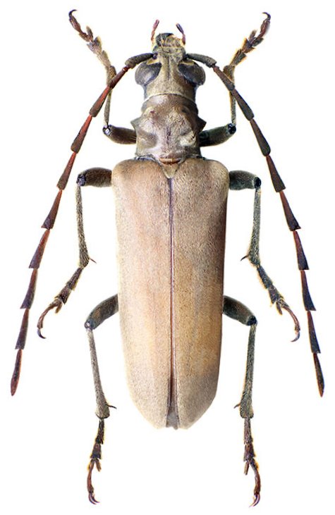
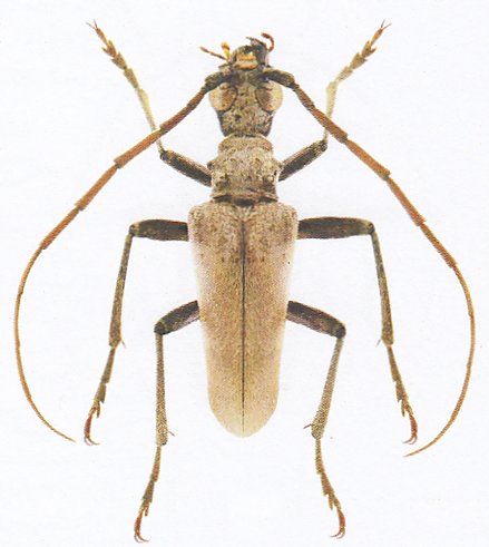
Enthymius farinosus Fairmaire 1902

Sex: m
Photographer: Ivo Jenis
Collection Location: Mahajamba River, Ampatika, Madagascar
89336


Sex: f
Photographer: Ivo Jenis
Collection Location: Mahajamba River, Ampatika, Madagascar
89337


Sex: m
Photographer: Eduard Vives
Collection Location: Madagascar
96834

130425