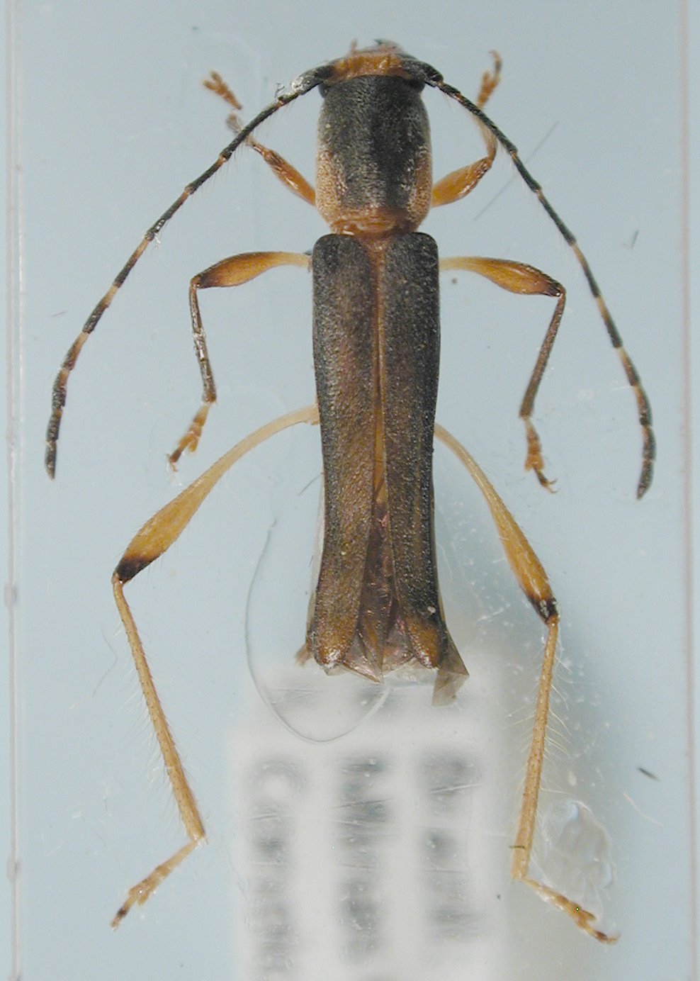
_Fisher_AMNH_Corupa_Hansa_Humb_Sta_Cat_Brazil.jpg)
Stenopseustes gibbicollis Fisher Specimen Type: holotype Sex: f Institution: AMNH American Museum of Natural History, New York, NY, USA Collection Location: Corupa, Hansa Humboldt, Santa Catarina, Brazil 27938
|

Institution: MNRJ Museu Nacional Universidade do Rio Janeiro, Brazil Photographer: Larry G. Bezark Determiner: Monne Collection Location: Cantareira, Sao Paolo, Brazil 33864
|
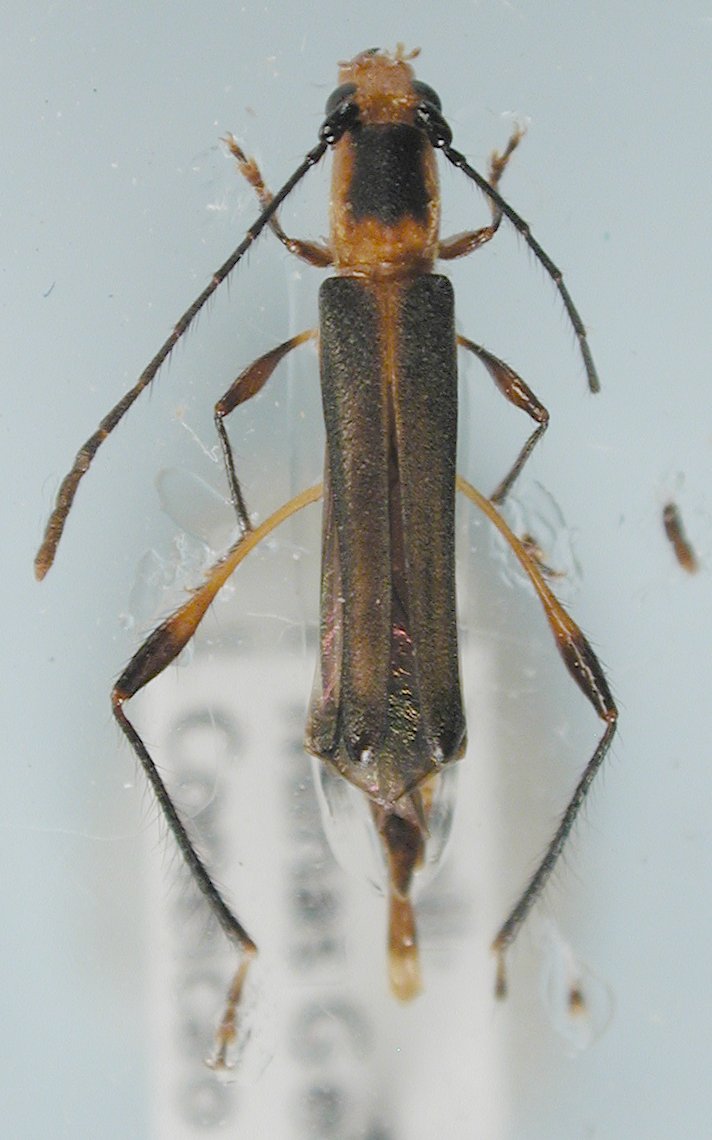
 Bates Conceicao, Minas Gerais, Brazil LGBC det SS.jpg)
Sex: m Institution: LGBC Larry G. Bezark Collection, Sacramento, California, USA Photographer: Larry G. Bezark Determiner: Antonio Santos-Silva Collection Location: Conceicao, Minas Gerais, Brazil 96386
|
 Bates Conceicao, Minas Gerais, Brazil LGBC.jpg)
Sex: f Institution: LGBC Larry G. Bezark Collection, Sacramento, California, USA Photographer: Larry G. Bezark Collection Location: Conceicao, Minas Gerais, Brazil 96387
|
|