New Search Family, Subfamily and Tribe List

SubFamily Apatophyseinae

Tribe
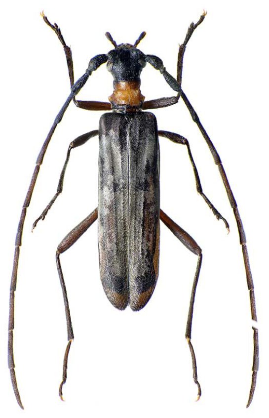
Pseudomusius rubricollis (Fairmaire, 1899)

Sex: m
Photographer: Ivo Jenis
Collection Location: Moramanga, Madagascar
89384

130425