New Search Family, Subfamily and Tribe List

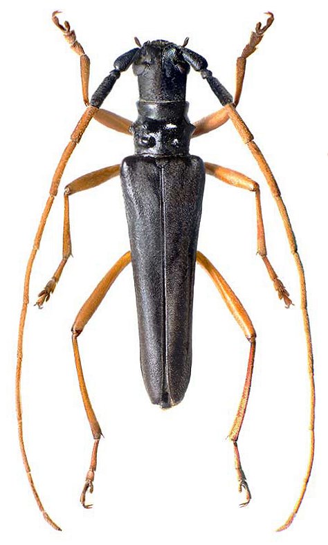
SubFamily Apatophyseinae

Tribe
Musius quadrinodosus Fairmaire 1899

Sex: m
Photographer: Ivo Jenis
Collection Location: Beparasy, Madagascar
89369

130425