New Search Family, Subfamily and Tribe List

SubFamily Apatophyseinae

Tribe
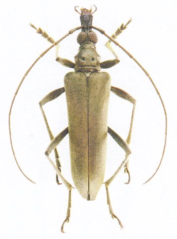
Logisticus proboscideus Fairmaire 1902

Institution: JCPC Jim Cope Collection, San Jose, California, USA now at CSCA, Sacramento
Photographer: Jim Cope
Collection Location: Madagascar
73121


Photographer: Eduard Vives
Collection Location: Madagascar
96840

130425