New Search Family, Subfamily and Tribe List

SubFamily Apatophyseinae

Tribe
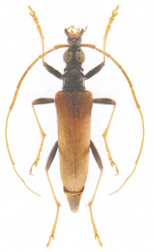
Logisticus iners Fairmaire 1903

Photographer: Eduard Vives
Collection Location: Madagascar
96839

130425