New Search Family, Subfamily and Tribe List

SubFamily Apatophyseinae

Tribe
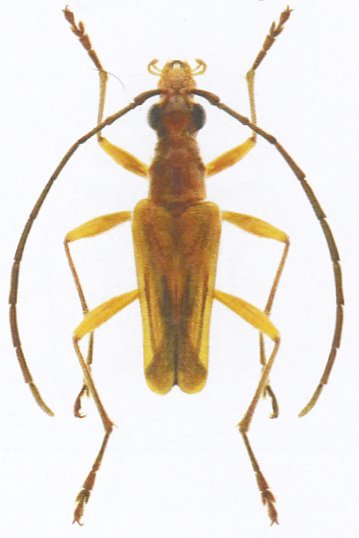
Lepturasta russa Fairmaire 1901

Collection Location: Madagascar
51816


51817


Photographer: Eduard Vives
Collection Location: Madagascar
96837

130425