New Search Family, Subfamily and Tribe List

SubFamily Apatophyseinae

Tribe
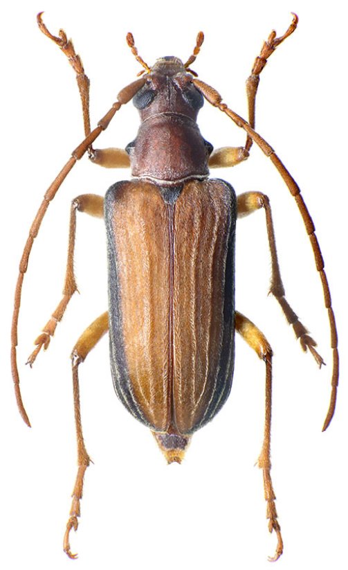
Gaurotinus tenuelineatus Fairmaire 1897

41432


Sex: f
Photographer: Ivo Jenis
Collection Location: Mahajamba River, Ampatika, Madagascar
89347


Sex: f
Photographer: Eduard Vives
Collection Location: Madagascar
96835

130425