New Search Family, Subfamily and Tribe List

SubFamily Apatophyseinae

Tribe
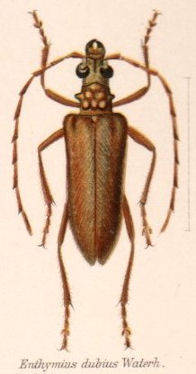
Enthymius dubius Waterhouse 1878

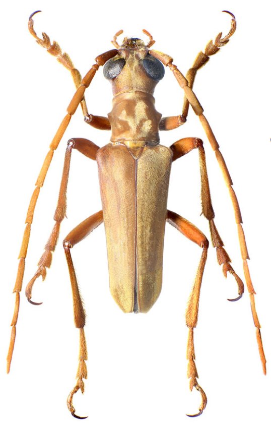
Sex: m
Photographer: Ivo Jenis
Collection Location: Mahajamba River, Ampatika, Madagascar
89335


38787


Paratoxotus argodi Fairmaire
56100

130425