New Search Family, Subfamily and Tribe List

SubFamily Apatophyseinae

Tribe
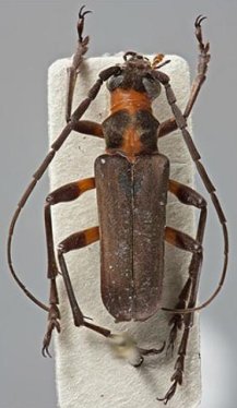
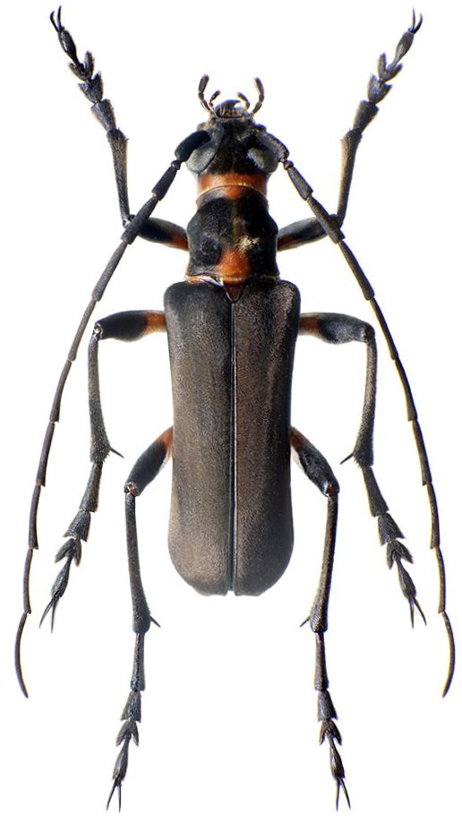
Antigenes funebris Pascoe 1888

Photographer: Nathan P. Lord
41849


Sex: m
Photographer: Ivo Jenis
Collection Location: Moramanga, Madagascar
32018


Photographer: Boppe
32019

130425