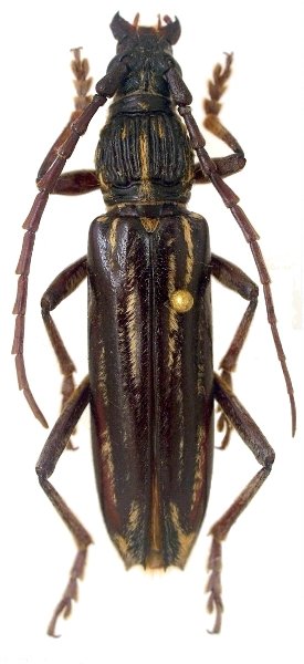
_Vitali_Mt_Bawang_Kalimantan.jpg)
Specimen Type: holotype Sex: m Institution: Chemin Collection Photographer: Xavier Gouverneur, Cerambycoidea Forum Collection Location: Mt Bawang, Kalimantan, Borneo 66444
|
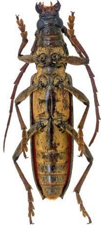
_Vitali_Mt_Bawang_Kalimantan_GC.jpg)
Specimen Type: holotype Sex: m Institution: Chemin Collection Photographer: Xavier Gouverneur, Cerambycoidea Forum Collection Location: Mt Bawang, Kalimantan, Borneo 66446
|

Specimen Type: holotype Institution: Chemin Collection Photographer: Gerard Chemin, Cerambycoidea Forum Collection Location: Mt Bawang, Kalimantan, Borneo 66445
|
|