
Institution: CAS California Academy of Sciences, San Francisco, CA, USA Photographer: Larry G. Bezark 41389
|
 Fairmaire Mahajamba River, Ampatika, Madagascar Jenis.jpg)
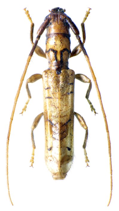
Sex: m Photographer: Ivo Jenis Collection Location: Mahajamba River, Ampatika, Madagascar 89344
|
 Fairmaire Mahajamba River, Ampatika, Madagascar Jenis.jpg)
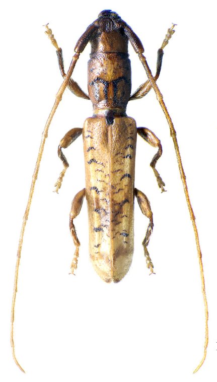
Sex: f Photographer: Ivo Jenis Collection Location: Mahajamba River, Ampatika, Madagascar 89345
|
|