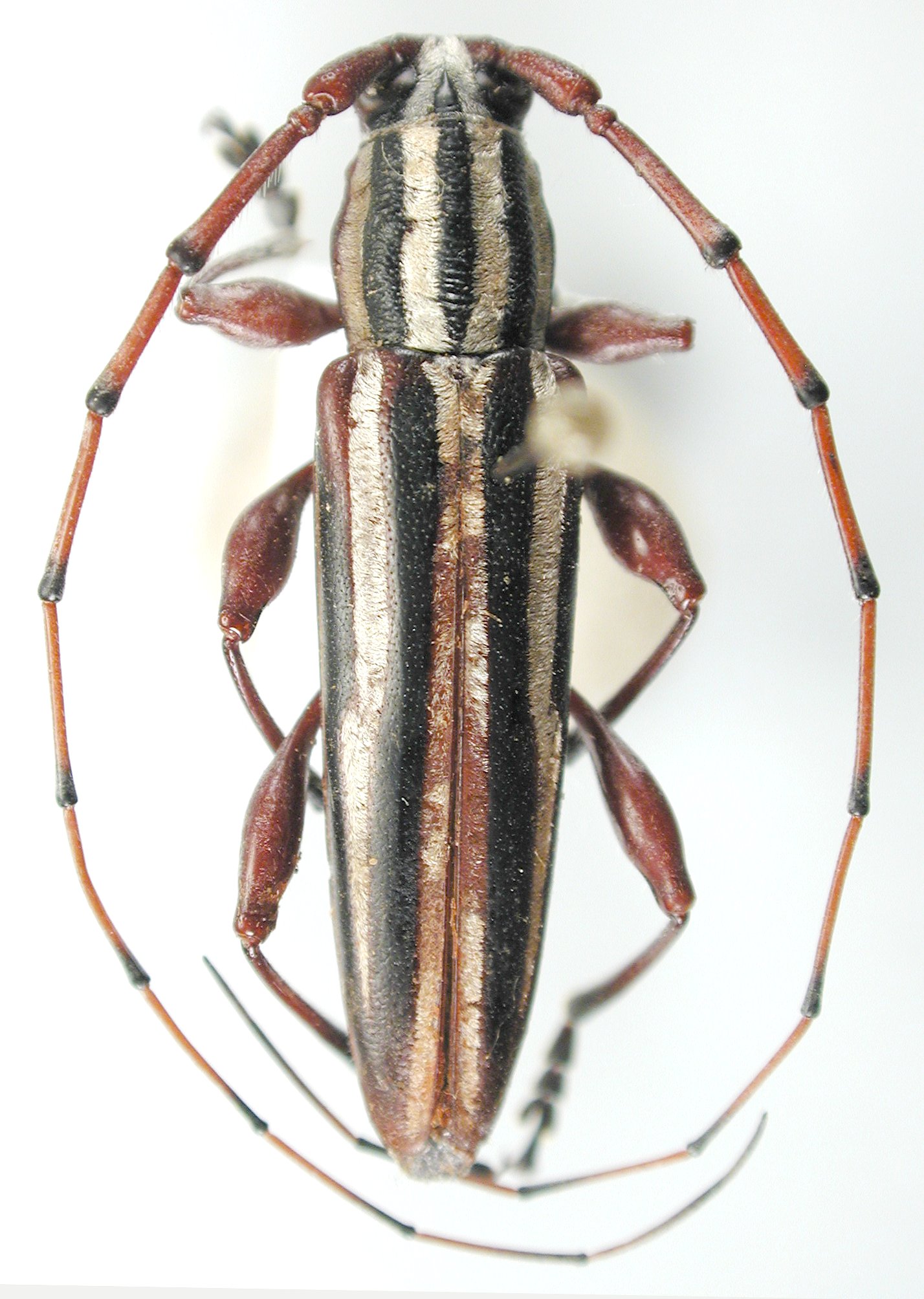
 (Waterhouse) La Mandraka, Madagascar JCPC LGB.jpg)
Sex: m Institution: JCPC Jim Cope Collection, San Jose, California, USA now at CSCA, Sacramento Photographer: Larry G. Bezark Determiner: Jim Cope Collection Location: La Mandraka, Madagascar 99352
|
 (Waterhouse) Madagascar JCPC LGB.jpg)
Sex: f Institution: JCPC Jim Cope Collection, San Jose, California, USA now at CSCA, Sacramento Photographer: Larry G. Bezark Determiner: Jim Cope Collection Location: Madagascar 99353
|