
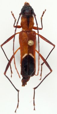
Institution: CAS California Academy of Sciences, San Francisco, CA, USA Photographer: Larry G. Bezark Collection Location: Madagascar 37197
|

Photographer: Konstantin Vaksov Collection Location: Ankarafantsika National Park, Madagascar 49207
|

Photographer: Gerard Chemin, Cerambycoidea Forum Collection Location: Mariano, Madagascar 49208
|
|