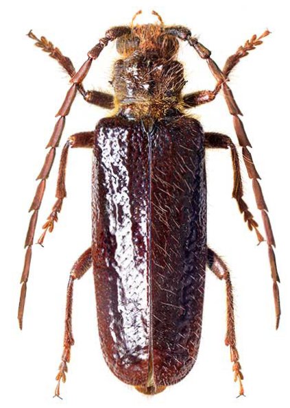
 Breuning Villiers Moramanga, Madagascar Jenis.jpg)
Sex: m Photographer: Ivo Jenis Collection Location: Moramanga, Madagascar 89375
|
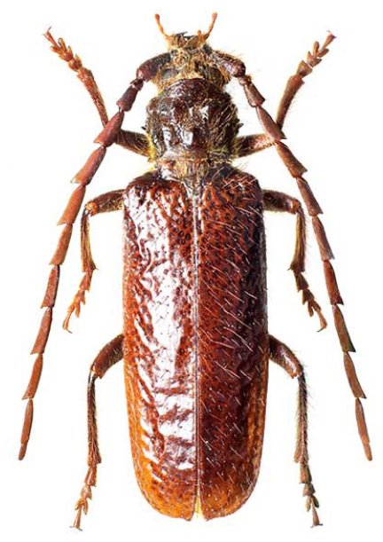
 Breuning Villiers Moramanga, Madagascar Jenis.jpg)
Sex: f Photographer: Ivo Jenis Collection Location: Moramanga, Madagascar 89376
|

Institution: CAS California Academy of Sciences, San Francisco, CA, USA Photographer: Larry G. Bezark Collection Location: Madagascar 55179
|
|