New Search Family, Subfamily and Tribe List

SubFamily Spondylidinae

Tribe Saphanini
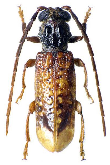
Opsamates flavoapicalis Breuning & Villiers 1958

Sex: m
Photographer: Ivo Jenis
Collection Location: Fianarantsoa, Ranomafana, Madagascar
55177


Sex: f
Photographer: Ivo Jenis
Collection Location: Fianarantsoa, Ranomafana, Madagascar
89374

130425