New Search Family, Subfamily and Tribe List

SubFamily Spondylidinae

Tribe Saphanini
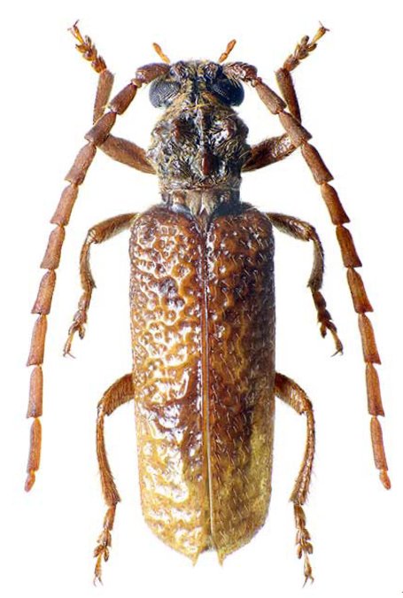
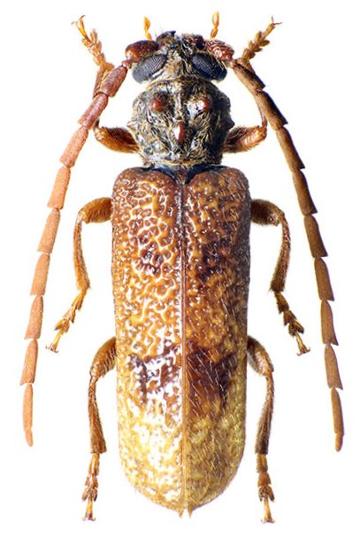
Opsamates flabellicornis Breuning & Villiers 1958

Sex: m
Photographer: Ivo Jenis
Collection Location: Toliara (Saint Augustin), Madagascar
89372


Sex: f
Photographer: Ivo Jenis
Collection Location: Toliara (Saint Augustin), Madagascar
89373


Determiner: Bulletin de l'Académie Malgache
Collection Location: Madagascar
55176

130425