New Search Family, Subfamily and Tribe List

SubFamily Spondylidinae

Tribe Saphanini
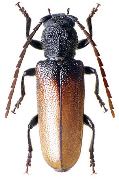
Masatopes bicolor Breuning & Villiers 1958

Sex: f
Photographer: Ivo Jenis
Collection Location: Fianarantsoa, Ranomafana, Madagascar
89356


Institution: CAS California Academy of Sciences, San Francisco, CA, USA
Photographer: Larry G. Bezark
52152

130425