_Germar_ZMHB_Brazil.jpg)
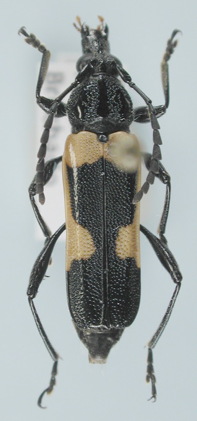
Specimen Type: lectotype Sex: m Institution: ZMHB Museum für Naturkunde der Humboldt-Universität, Berlin, Germany Photographer: Monne Collection Location: Brazil 48243
|
_Melzer_MZSP_Amparo_SP_Braz_now_dors_SS.jpg)
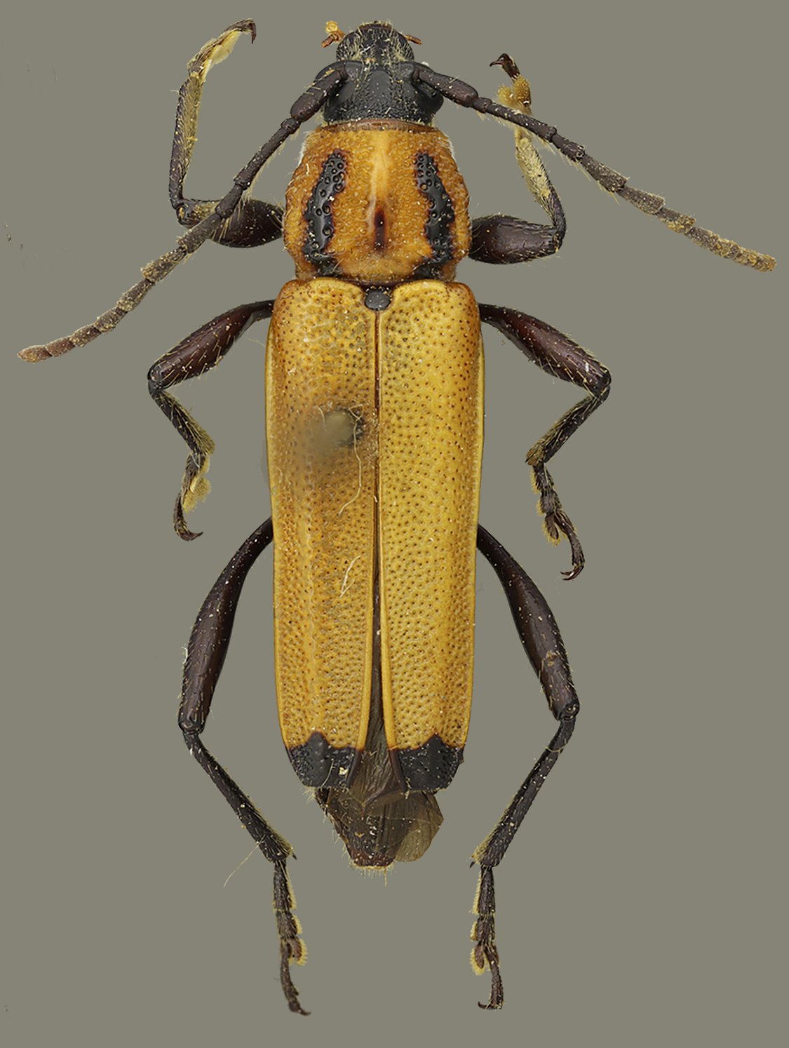
Rhinotragus dorsiger var. amparensis Melzer Specimen Type: holotype Sex: m Institution: MZSP Museu de Zoologia da Universidade de São Paulo, Brazil Photographer: Antonio Santos-Silva Collection Location: Amparo, Sao Paolo, Brazil 69109
|
_Melzer_MZSP_Rio_Itabapoana_ES_Braz_now_dors_SS.jpg)
Rhinotragus dorsiger var. collaris Melzer Specimen Type: lectotype Sex: f Institution: MZSP Museu de Zoologia da Universidade de São Paulo, Brazil Photographer: Antonio Santos-Silva Collection Location: Rio Itabapoana, Espirito Santo, Brazil 69110
|
_Melzer_MZSP_Amparo_SP_Braz_now_dors_SS.jpg)
Rhinotragus dorsiger var. vittatus Melzer Specimen Type: holotype Sex: f Institution: MZSP Museu de Zoologia da Universidade de São Paulo, Brazil Photographer: Antonio Santos-Silva Collection Location: Amparo, Sao Paolo, Brazil 69111
|
_ZSM_Sao_Paolo_Brazil_SWL_=_dd.jpg)
Rhinotragus dorsiger marginatus Perty Specimen Type: holoype Sex: m Institution: ZSM Zoologische Staatssammlung, München, Germany Photographer: Steve Lingafelter Collection Location: Sao Paolo, Brazil 29822
|

Institution: MZSP Museu de Zoologia da Universidade de São Paulo, Brazil Photographer: Steve Lingafelter Determiner: Martins Collection Location: Bolivia 13000
|

Institution: LGBC Larry G. Bezark Collection, Sacramento, California, USA Photographer: Larry G. Bezark Collection Location: Brochado, Minas Gerais, Brazil 95791
|
 Germar Brochado, Minas Gerais, Brazil LGBC.jpg)
Institution: LGBC Larry G. Bezark Collection, Sacramento, California, USA Photographer: Larry G. Bezark Collection Location: Brochado, Minas Gerais, Brazil 95792
|

Rhinotragus dorsiger var. collaris Melzer Institution: MZSP Museu de Zoologia da Universidade de São Paulo, Brazil Photographer: Steve Lingafelter Determiner: Martins 13001
|
|