New Search Family, Subfamily and Tribe List

SubFamily Cerambycinae

Tribe Rhinotragini
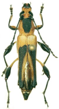
Pseudagaone suturafissa Tippmann 1960

Sex: m
Photographer: Robin Clarke
Collection Location: 5 km SSE Buena Vista, Santa Cruz, Bolivia
29685


Sex: f
Photographer: Robin Clarke
Collection Location: 5 km SSE Buena Vista, Santa Cruz, Bolivia
29686

130425