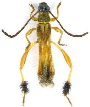
_White_BMNH_Santarem_Para_Braz_nowPseudophygopoda_LGB.jpg)
Odontocera subvestita White Specimen Type: holotype Sex: m Institution: BMNH British Museum Natural History, London, UK Photographer: Larry G. Bezark Collection Location: Santarem, Para, Brazil 47128
|

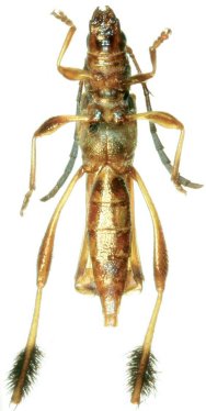
Photographer: Jean-Louis Giuglaris Collection Location: Matoury, French Guiana 29302
|

Photographer: Odette Morvan Collection Location: French Guiana 31517
|
_(White)_Clarke.jpg)
Sex: m Photographer: Robin Clarke 45778
|
_(White)_Clarke.jpg)
Sex: m Photographer: Robin Clarke 45779
|
_(White)_Clarke.jpg)
Sex: f Photographer: Robin Clarke 45780
|
_(White)_Clarke.jpg)
Sex: f Photographer: Robin Clarke 45781
|
_(White)_Coleopteres.jpg)
Sex: f 24433
|