_Giesbert_CAS_type_17595.jpg)
Phygopoda panamensis Giesbert Specimen Type: holotype Sex: m Institution: CAS California Academy of Sciences, San Francisco, CA, USA Photographer: Larry G. Bezark Collection Location: 7-10 km North of El Llano, Panama 23626
|
.jpg)
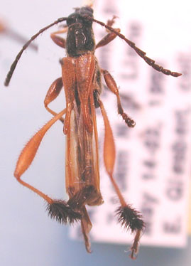
Phygopoda panamensis Giesbert Specimen Type: paratype Collection Location: 7-10 km North of El Llano, Panama 12085
|