_Aurivillius_Philippines_USNM.jpg)
Specimen Type: holotype Institution: NMNH United States National Museum, Washington, DC, USA Photographer: Steve Lingafelter Collection Location: Cuernos Mountains, Negros, Philippines 37068
|
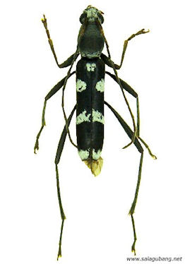
_Aurivillius_Calayan_Philippines_EC5.jpg)
Sex: m Photographer: Estan Cabigas Collection Location: Calayan, Philippines 37066
|