New Search Family, Subfamily and Tribe List

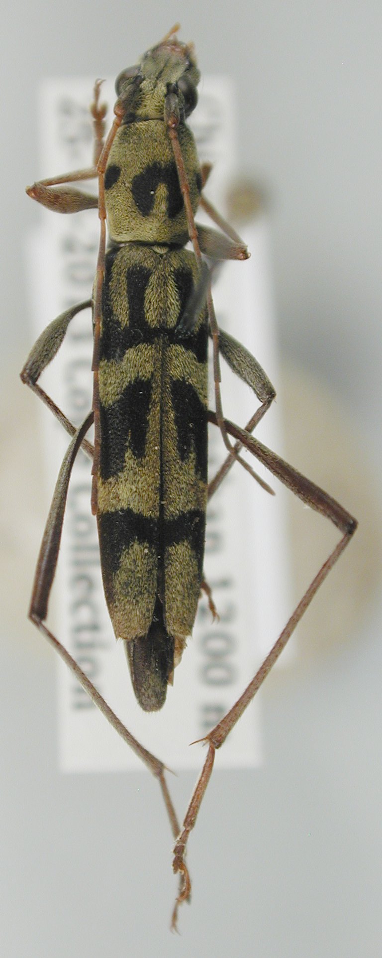
SubFamily Cerambycinae

Tribe Clytini
Rhaphuma semiclathrata (Chevrolat, 1863)

Institution: JCPC Jim Cope Collection, San Jose, California, USA now at CSCA, Sacramento
Photographer: Larry G. Bezark
Determiner: Jim Cope
Collection Location: Mt Dayaoshan, Pingban, Jinxiu, Guangxi China
99729

130425