_Schwarz_IGDL_Philippines_Mindanao_Kolambugan.jpg)
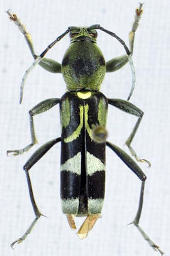
Specimen Type: lectotype Sex: m Institution: IGDL Musée d'Histoire Naturelle du Luxembourg Collection Location: Kolambugan, Moindanao, Philippines 35062
|

34958
|

Photographer: Estan Cabigas Collection Location: Romblon, Mindanao, Philippines 34959
|
_Schwarzer_Romblon_Mindanao_Philippines_Cabigas_photo.jpg)
Photographer: Estan Cabigas Collection Location: Romblon, Mindanao, Philippines 34960
|
|