_Yoshitake_Niisato_NIAES_Indonesia_W_Kalimantan_nr_Benkayang.jpg)
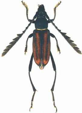
Specimen Type: holotype Sex: m Institution: NIAES National Institute for AgroEnvironmental Sciences, Tsukuba, Japan Determiner: Elytra, Tokyo Collection Location: near Benkayang, West Kalimantan, Indonesia 40504
|

Institution: LGBC Larry G. Bezark Collection, Sacramento, California, USA Photographer: Larry G. Bezark Collection Location: Mt Bawang, Borneo 49362
|