_Semenov_MNHN_Yunnan.jpg)
Specimen Type: holotype Sex: f Institution: MNHN Museum of Natural History Paris, France Collection Location: Se-Pin-Lou-Chan, Ya Tchéou, Tibet, China 34427
|
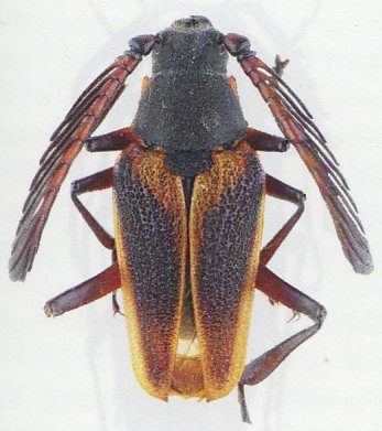
_Pic_IRSNB_Pe-Yen_Tsing_Haut-Yunnan_China_now_thibetanus_NM.jpg)
Casiphioprionus limbatus Pic Specimen Type: co-type Sex: m Institution: IRSNB Royal Belgian Institute of Natural Sciences, Brussels, Belgium Photographer: Noel Mal Collection Location: Pe-Yen, Tsing Haut, Yunnan Province, China 74791
|