_Gr_and_Rond_BPBM_Savanakhet_Laos_NO.jpg)
Specimen Type: holotype Sex: m Institution: BPBM Bernice P. Bishop Museum, Honolulu, Hawaii, USA Photographer: Nobuo Ohbayashi Collection Location: Savanakhet, Laos 43236
|
_Gr_and_Rond_BPBM_Savanakhet_Laos_NO.jpg)
Specimen Type: holotype Sex: m Institution: BPBM Bernice P. Bishop Museum, Honolulu, Hawaii, USA Photographer: Nobuo Ohbayashi Collection Location: Savanakhet, Laos 43237
|
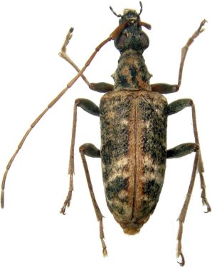
_Gress_Rondon_Savanakhet_Laos_LGB.jpg)
Specimen Type: paratype Institution: BMNH British Museum Natural History, London, UK Photographer: Larry G. Bezark Collection Location: Savanakhet, Laos 47467
|
_CAS.jpg)
Specimen Type: paratype Institution: CAS California Academy of Sciences, San Francisco, CA, USA Photographer: Larry G. Bezark 34391
|

Photographer: Ivo Jenis Collection Location: Vietnam 34392
|
_Gress_and_Rond_Ohbayashi.jpg)
Sex: m Determiner: Trans. Shikoku Ent. Soc. 34393
|
_Gress_and_Rond_Ohbayashi.jpg)
Sex: f Determiner: Trans. Shikoku Ent. Soc. 34394
|

Photographer: Meiying Lin 41799
|
|