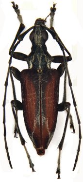
_Gr_and_Rond_BPBM_Phon_Tiou_Khammouane_Laos_NO.jpg)
Specimen Type: holotype Sex: m Institution: BPBM Bernice P. Bishop Museum, Honolulu, Hawaii, USA Photographer: Nobuo Ohbayashi Collection Location: Phon Tiou, Khammouane, Laos 43234
|
_Gr_and_Rond_BPBM_Phon_Tiou_Khammouane_Laos_NO.jpg)
Specimen Type: holotype Sex: m Institution: BPBM Bernice P. Bishop Museum, Honolulu, Hawaii, USA Photographer: Nobuo Ohbayashi Collection Location: Phon Tiou, Khammouane, Laos 43235
|
_GressRondon_BMNH_Phon_Tiou_Laos_LGB.jpg)
Specimen Type: paratype Institution: BMNH British Museum Natural History, London, UK Photographer: Larry G. Bezark Collection Location: Phon Tiou, Laos 47466
|
_Gress_and_Rond_Phon_Tieu_Laos.jpg)
Sex: m Determiner: Trans. Shikoku Ent. Soc. Collection Location: Phon Tieu, Laos 34381
|
_Gress_and_Rond_Phon_Tieu_Laos.jpg)
Sex: f Determiner: Trans. Shikoku Ent. Soc. Collection Location: Phon Tieu, Laos 34382
|

Photographer: Meiying Lin 41798
|
_CAS.jpg)
Institution: CAS California Academy of Sciences, San Francisco, CA, USA Photographer: Larry G. Bezark 34380
|
|