_Vives_Bentanachs_Chew_Muaralabuh_West_Sumatra_Indonesia.jpg)
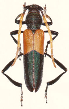
Specimen Type: holotype Sex: m Institution: Heffern Collection Determiner: Les Cahiers Collection Location: Muara-Labuh, West Sumatra 51693
|
_Vives_Bentanachs_Chew_Muaralabuh_West_Sumatra_Indonesia.jpg)
Specimen Type: holotype Sex: m Institution: Heffern Collection Determiner: Les Cahiers Collection Location: Muara-Labuh, West Sumatra 51694
|