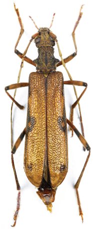
_Holzschuh_coll_Bhalukhop_Taplejung_dist_E_Nepal.jpg)
Specimen Type: holotype Sex: m Institution: Holzschuh Collection Photographer: Luboš Dembický Determiner: Biodiversität und Naturausstattung im Himalaya Collection Location: Bhalukhop Taplejung district, E Nepal 59179
|
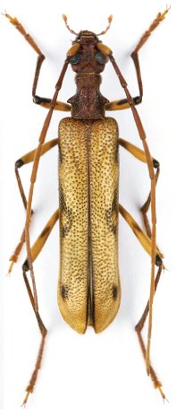
_Holzschuh_coll_Bhalukhop_Taplejung_dist_E_Nepal.jpg)
Specimen Type: paratype Sex: f Institution: Holzschuh Collection Photographer: Luboš Dembický Determiner: Biodiversität und Naturausstattung im Himalaya Collection Location: Bhalukhop Taplejung district, E Nepal 59180
|