_Bates.jpg)
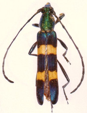
Specimen Type: holotype Sex: m Institution: MNHN Museum of Natural History Paris, France Determiner: Magellanes. Collection systématique Collection Location: Hô Chi Minhh-Ville (Saigon), Vietnam 32056
|

Determiner: Magellanes. Collection systématique 32057
|

Institution: LGBC Larry G. Bezark Collection, Sacramento, California, USA Photographer: Larry G. Bezark Collection Location: Puu Pane, Laos 49309
|
|