_White_=_Anubis.jpg)
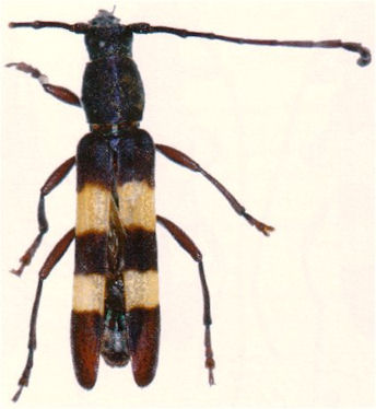
Polyzonus inermis White Specimen Type: syntype Institution: BMNH British Museum Natural History, London, UK Determiner: Magellanes. Collection systématique Collection Location: East India 32042
|
.jpg)
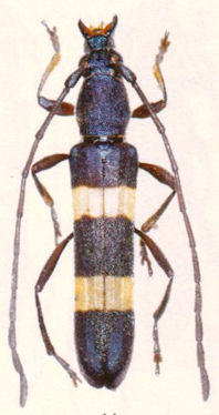
Determiner: Magellanes. Collection systématique 32043
|

Institution: CAS California Academy of Sciences, San Francisco, CA, USA Photographer: Larry G. Bezark 32044
|
|