
Specimen Type: syntype Sex: m? Institution: MNHN Museum of Natural History Paris, France Determiner: Magellanes. Collection systématique Collection Location: Caffraria, South Africa 32035
|
_Schmidt.jpg)
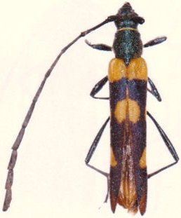
Anubis trifasciatus Schmidt Specimen Type: lectotype Sex: m Institution: ZMHB Museum für Naturkunde der Humboldt-Universität, Berlin, Germany Determiner: Magellanes. Collection systématique Collection Location: Natal, South Africa 32067
|