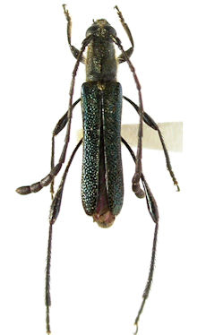
_Zajciw_MNRJ_SWL.jpg)
Ommata pilosicollis Zajciw Specimen Type: holotype Sex: f Institution: MNRJ Museu Nacional Universidade do Rio Janeiro, Brazil Photographer: Steve Lingafelter Collection Location: Villa P. Monti, Tucumán Burruyacú, Argentina 11146
|
_(Zajciw)_SS.jpg)
Sex: m Photographer: Antonio Santos-Silva 30863
|