New Search Family, Subfamily and Tribe List

SubFamily Cerambycinae

Tribe Rhinotragini
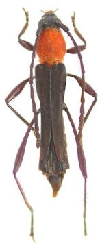
Oxyommata collaris (Audinet-Serville, 1834)

Sex: f
Photographer: Antonio Santos-Silva
30734


Photographer: Larry G. Bezark
Determiner: Santos-Silva
Collection Location: Napo, Ecuador
24761


Photographer: Larry G. Bezark
Determiner: Santos-Silva
Collection Location: Napo, Ecuador
24762

130425