New Search Family, Subfamily and Tribe List

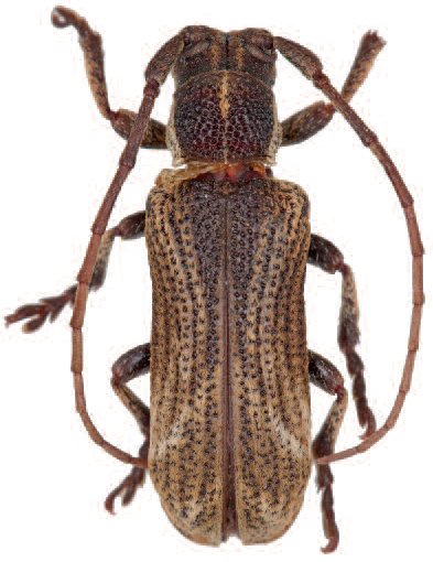
SubFamily Lamiinae

Tribe Xylorhizini
Cyrtogrammus lateripictus Gressitt 1939

Specimen Type: holotype
Sex: m
Institution: SYSU Sun-Yat-sen University, Guangzhou, China
Photographer: Wen-Xuan Bi
Collection Location: Taam-yuen-yung, Guangdong Province, China
70813

130425