_Martins_and_SS_MZSP_Santa_Teresa_ES_Brazil.jpg)
Specimen Type: holotype Sex: m Institution: MZSP Museu de Zoologia da Universidade de São Paulo, Brazil Photographer: Antonio Santos-Silva Collection Location: Santa Teresa, Espirito Santo, Brazil 29506
|
_Martins_and_SS_MZSP_Santa_Teresa_ES_Brazil.jpg)
Specimen Type: holotype Sex: m Institution: MZSP Museu de Zoologia da Universidade de São Paulo, Brazil Photographer: Antonio Santos-Silva Collection Location: Santa Teresa, Espirito Santo, Brazil 29507
|
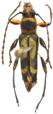
_Martins_and_SS_MZSP_Santa_Teresa_ES_Brazil.jpg)
Specimen Type: holotype Sex: m Institution: MZSP Museu de Zoologia da Universidade de São Paulo, Brazil Photographer: Antonio Santos-Silva Collection Location: Santa Teresa, Espirito Santo, Brazil 29508
|
_Martins_and_SS.jpg)
Specimen Type: holotype Sex: m Institution: MZSP Museu de Zoologia da Universidade de São Paulo, Brazil Photographer: Antonio Santos-Silva Collection Location: Santa Teresa, Espirito Santo, Brazil 29509
|
_Martins_and_SS.jpg)
Specimen Type: paratype Sex: f Photographer: Antonio Santos-Silva Collection Location: Brazil 29510
|
_Martins_and_SS.jpg)
Specimen Type: paratype Sex: f Photographer: Antonio Santos-Silva Collection Location: Brazil 29511
|
_Martins_and_SS.jpg)
Specimen Type: paratype Sex: f Photographer: Antonio Santos-Silva Collection Location: Brazil 29512
|